The Exit 21 Catskill development project is a joint initiative between the Greene County Industrial Development Agency (Greene IDA) and the Greene County Economic Development Corporation.
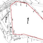
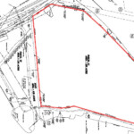
This highly accessible shovel-ready site is adjacent to NYS Thruway Exit 21 Catskill, approximately 100 miles north of New York City and 30 miles south of the state capital in Albany.
Optimal Site for Restaurant/Hospitality Development to Serve Future Hotel
Our partner, the Greene County IDA focuses on developing “shovel ready” sites and existing historic locations with the goal of marketing to and attracting a diverse mix of business types and employment opportunities for local residents as well as needed new local property tax revenue.
Find More detailed Information at the Greene IDA website











